Erstklassiges Grundstück

Objektdetails
Ort Hamburg – Volksdorf
Grundstück 992 m²
Online-Nr. 1122-01
Beschreibung

Baugrundstück für ein hochwertiges Einfamilienhaus in reizvoller Wohnlage direkt am Naturgebiet mit See.

Eine sehr gute Besonnung, Süd-West-Ausrichtung und ein herrlicher Blick in die Natur prägen den besonderen Charakter dieses Baugrundstücks in außergewöhnlich reizvoller Wohnlage.

Grundstück

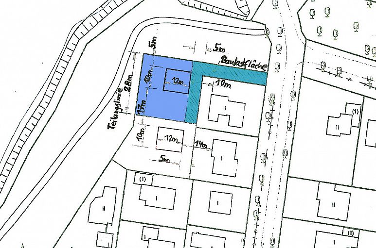
Das breite Grundstück in rückwärtiger Lage verfügt über eine ideale Süd-West-Ausrichtung. Die Grundstücksgrösse beträgt etwa 992 m² inkl. einer gemeinsam mit dem 2. Grundstück zu nutzenden Zuwegung (siehe Flurkarte).

Bebauungsmöglichkeiten

Gemäß Bau - Vorbescheid vom 09.10.2014 des Bezirksamtes Wandsbek, Zentrum für Wirtschaftsförderung, Bauen und Umwelt, der Stadt Hamburg ist folgende Bebauung auf dem Grundstück möglich: Bebauungsplan Volksdorf in Verbindung mit der Baunutzungsverordnung vom 23.01.1990. WR-1-O, bebaubare Grundfläche max. 120 m², nur Einzelhäuser. Zulässig ist ein Baukörper mit einem Vollgeschoss + ausgebautem Dachgeschoss, auch eine toskanische Bauweise erscheint möglich.

Ein ideales Grundstück für eine hochwertige Einfamilienhausbebauung.

Altbausubstanz

Auf dem bisherigen Gesamtgrundstück befindet sich ein älteres Einfamilienhaus mit Einliegerwohnung und Vollkeller. Die Abrisskosten trägt der Erwerber zur Hälfte.

Energieinformationen / Abrissgebäude:

Beheizung erfolgt über Ölzentralheizung mit Warmwasserbereitung.
Verbrauchsausweis: Energieverbrauchskennwert: 108 kWh/(m²·a); Wesentl. Energieträger: Heizöl; Bj. Gebäude: 1979; Bj. Anlagentechnik: 1990.
Der Energieausweis wurde vor Installation der neuen Heizungsanlage erstellt.

Wichtig

Eine Besichtigung des Grundstücks ist ausschließlich nach vorheriger Terminabsprache möglich.

Kaufpreis

In dem Kaufpreis sind die Kosten für Teilung, Vermessung und Bildung der Grundbücher enthalten.

Lage

Das Grundstück befindet sich in Hamburg Volksdorf, einer bevorzugten Wohnlage, deren Charakter durch alten Baumbestand, große Waldflächen und einen stilvollen Ortskern mit sehr guten Einkaufsmöglichkeiten geprägt wird. Die Straße, in der das Grundstück liegt, ist eine alte Wohnstraße mit Alleecharakter, bebaut mit Einfamilienhäusern und Villen. 30 Km/h Zone. Direkt hinter dem Grundstück erstreckt sich ein landschaftlich sehr reizvolles Naturgebiet mit Wanderweg, Stausee und Wäldchen. Über den Wanderweg erreicht man in wenigen Minuten (1 Km entfernt) den Volksdorfer Ortskern mit U-Bahnstation. Schulen sind ca. 2 Minuten Fußweg entfernt.

Courtage / Nebenkosten

Die Courtage in Höhe von 6,25% inkl. 19 % MwSt. und alle mit dem Ankauf verbundenen Nebenkosten trägt der Käufer.

Hinweis für Bauträger

Bauträger sind ohne ausdrückliche Genehmigung von unserer Seite nicht befugt, dieses Grundstück Dritten anzubieten oder es zu bewerben.

Hinweis

Alle Objekteinzelheiten erfolgen nach Angaben des Grundeigentümers und / oder von Dritten. Eine Haftung für die Vollständigkeit und Richtigkeit können wir nicht übernehmen.Es gelten unsere Allgemeinen Geschäftsbedingungen.

Objektunterlagen anfordern
Weitere Bilder
Diese Webseite verwendet Cookies

Wir bitten um Verständnis, dass diese Webseite ohne Ihre Einwilligung unter Umständen nicht im vollen Umfang genutzt werden kann.

Cookie-Erklärung Über Cookies

Notwendige Cookies helfen dabei, eine Webseite nutzbar zu machen, indem sie Grundfunktionen wie Seitennavigation und Zugriff auf sichere Bereiche der Webseite ermöglichen. Die Webseite kann ohne diese Cookies nicht richtig funktionieren.

NameAnbieterZweckAblaufTyp
CookieConsenttudsen.deSpeichert den Zustimmungsstatus des Benutzers für Cookies auf der aktuellen Domäne.1 JahrHTTP
PHPSESSIDtudsen.deBehält die Zustände des Benutzers bei allen Seitenanfragen bei.SessionHTTP

Statistik-Cookies helfen Webseiten-Besitzern zu verstehen, wie Besucher mit Webseiten interagieren, indem Informationen anonym gesammelt und gemeldet werden.

NameAnbieterZweckAblaufTyp
_gatudsen.deIdentifiziert einen User. Wird von Google Analytics verwendet.2 JahreHTTP
_gidtudsen.deIdentifiziert einen User. Wird von Google Analytics verwendet.24 StundenHTTP
_gattudsen.deVerwendet, um die Geschwindigkeit der Anfragen an den Server zu drosseln. Wird von Google Analytics verwendet.1 MinuteHTTP

Marketing-Cookies werden verwendet, um Besuchern auf Webseiten zu folgen. Die Absicht ist, Anzeigen zu zeigen, die relevant und ansprechend für den einzelnen Benutzer sind und daher wertvoller für Publisher und werbetreibende Drittparteien sind.

NameAnbieterZweckAblaufTyp
NIDgoogle.comRegistriert eine eindeutige ID, die das Gerät eines wiederkehrenden Benutzers identifiziert. Die ID wird für gezielte Werbung genutzt.6 MonateHTTP
frfacebook.comErmöglicht das Publikum für Werbekampagnen auf Facebook zu messen, zu optimieren und aufzubauen.3 MonateHTTP
_fbpfacebook.comCookie wird von Facebook platziert um Besuche über Websites hinweg zu speichern und zu verfolgen.3 MonateHTTP

Cookies sind kleine Textdateien, die von Webseiten verwendet werden, um die Benutzererfahrung effizienter zu gestalten, bestimmte Funktionen bereitzustellen oder um bestimmte Auswertungen zu ermöglichen.

Laut Gesetz können wir Cookies auf Ihrem Gerät speichern, wenn diese für den Betrieb dieser Seite unbedingt notwendig sind. Für alle anderen Cookie-Typen benötigen wir Ihre Erlaubnis.

Diese Seite verwendet unterschiedliche Cookie-Typen. Einige Cookies werden von Drittparteien platziert, die auf unseren Seiten erscheinen.